Technical Information 

Reference Images 

Chain of Custody Forms 

Certifications 

Resource Center 

About MSE 

Contact/Shipping 

Pay Invoices 

Add Bookmark 



  Asbestos Fiber Atlas

  Scanning Electron
    Micrographs


  Biological
    Microscopy


  Materials
    Particulate
    Testing



Reference Images


TEM Biological Microscopy

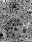
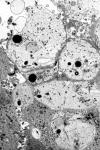
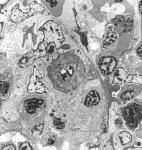
MouseKidney_F.jpg
Mouse Kidney
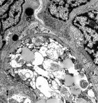
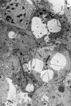
FishKidney1_F.jpg
Fish Kidney
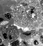
FishKidney2_F.jpg
Fish Kidney
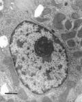
FishKidney3_F.jpg
Fish Kidney
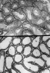
TickMidgut.jpg
Tick Midgut Tissue
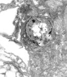
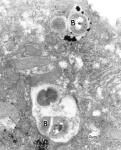
AnaplasmaCol_F.jpg
Anaplasma Colony
AnaplasmaCol2_F.jpg
Anaplasma Colony
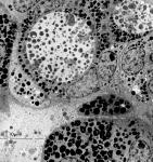
BAM1_F.jpg
Bovine Alveolar Macrophage
BAM2_F.jpg
Bovine Alveolar Macrophage
BAM3_F.jpg
Bovine Alveolar Macrophage
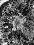
QuailTestes_F.jpg
Quail Testes
QuailTestes2_F.jpg
Seminiferous Tubule
Quail3_F.jpg
Seminiferous Tubule
Quail4_F.jpg
Seminiferous Tubule
Quail5_F.jpg
Seminiferous Tubule

© 2003 McCall and Spero Environmental, Inc. · 1831 Williamson Court, Suite 100 · Louisville, KY 40223
Phone (502) 244-7135· FAX (502) 244-7136